航空

第2回 工法評価選定会議 資料 考慮事項

1.構造物本体
(1)  空港として必要な機能を有する構造であること
(2)  横造物は十分な安定性を備えていること。
(3)  設計供用期間に対応しうる構造・材料(防食システムを含む)であること
(4)  航空機の繰り返し走行に対する所要の耐久性を確保できること
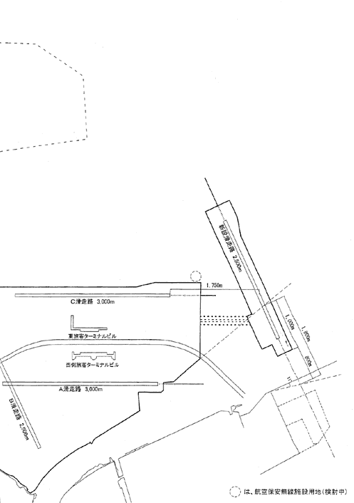
(5)  航空保安施設及び供給施設、配水施設、必要に応じ緑地等所要の施設を確保できる構造であること
(6)  船舶等の衝突に対して耐える構造にすること
(7)  維持管理にあたり空港の運用に支障を与えない構造とすること



2 施工
(1)  施工時の安全性を確保すること
(2)  制限表面の影響を考慮した施工方法にすること
(3)  自然条件等を考慮した稼働率での工程とすること
(4)  周辺海域の影響を極力小さくすること



3.危機管理への対応
(1)  危機管理の観点から、別表設計条件で設定している以外にも構造や施工に影響を与える可能性がある場合には、それに配慮すること
(2)  危機管理の観点から、構造物の破壊等が生じた場合の安全対策の確保が可能であること



4.環境への影響
(1)  環境への影響を極力低減すること



5.河川機能、港湾機能及び海上交通への影響
(1)  新滑走路については、多摩川の河川管理上支障を生じさせないよう措置するものとする。このため、多摩川河口域(別図参漂)については以下の条件とする。
河川の諸元については、
・計画高水量 7,000m3/S
・計画堤防高 A.P +6.500m
・計画高潮位 A.P +3.800m
・河床高 A.P -3.706m
 多摩川河口域に係る部分については、河川管理施設等構造令の「橋」に準拠するものとする。
・基準径間長  50m以上
・最小径間長  25m以上
・河積阻害率  8%以内
(2)  東京港の港湾機能や船舶航行の安全への影響を極力小さくすること
多摩川河口域の川幅の取り方について


ページの先頭に戻る